ナツツバキ 2021-04-08|最終更新日:2023-07-08 ツバキ科ナツツバキ属の落葉高木 ナツツバキの花:6月 ナツツバキの実:10 月 ナツツバキの種:10 月に播種 ナツツバキの発芽:翌々年の4月発芽には2年必要かも知れない。 2年目のナツツバキ:4月
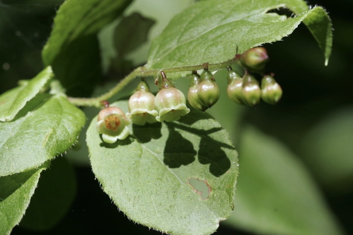
ナツハゼ 2021-04-08|最終更新日:2023-07-08 ツツジ科スノキ属の落葉低木 ナツハゼの花:6月 ナツハゼの実:10 月 ナツハゼの種:10 月に播種 ナツハゼの発芽:翌年の4月 2年目のナツハゼ:5月 3年目のナツハゼ:5月
ナナカマド 2021-04-08|最終更新日:2023-07-19 バラ科ナナカマド属の落葉低木 ナナカマドの花:5月 ナナカマドの実:10 月 ナナカマドの種:10 月に播種 ナナカマドの発芽:翌年の4月 2年目のナナカマド:4月 3年目のナナカマド:7月
ナミキソウ 2021-05-09|最終更新日:2023-07-17 シソ科タツナミソウ属の多年草 ナミキソウの花:6月同じ属なので、花も実も タツナミソウ に似ている。 ナミキソウの実:7月 ナミキソウの種:8月に播種 ナミキソウの発芽:翌月の9月 ナミキソウの芽生え:2年目の4月冬の間は地上部が枯れてしまう。 ナミキソウの蕾:2年目の6月 ナミキソウの開花:2年目の6月 ナミキソウの開花:3年目の6月
ナンキンハゼ 2021-04-08|最終更新日:2023-07-20 トウダイグサ科ナンキンハゼ属の落葉高木 ナンキンハゼの実:11 月 ナンキンハゼの種:11 月に播種 ナンキンハゼの発芽:翌年の5月 ナンキンハゼの紅葉:1年目の 10 月 2年目のナンキンハゼ:5月他と比べて芽の動きが遅いようだ。 3年目のナンキンハゼ:7月
ナンテン 2021-04-08|最終更新日:2023-07-20 メギ科ナンテン属の常緑低木 ナンテンの花:7月 ナンテンの実:11 月(赤) ナンテンの実:11 月(白) ナンテンの種:11 月に播種 ナンテンの発芽:翌年の8月 2年目のナンテン:4月 3年目のナンテン:4月 4年目のナンテン:7月
ニシキギ 2021-04-09|最終更新日:2023-02-03 ニシキギ科ニシキギ属の落葉低木 ニシキギの花:5月 ニシキギの実:10 月 ニシキギの枝参考: コマユミ と違い枝には翼がある。 ニシキギの種:10 月に播種
ニホンタンポポ 2021-05-09|最終更新日:2023-07-08 キク科タンポポ属の多年草 ニホンタンポポ(エゾタンポポ?)の花:4月参考:ニホンタンポポ は セイヨウタンポポ とは異なり総苞外片が反り返らない。 ニホンタンポポの葉:4月 ニホンタンポポの実:5月 ニホンタンポポの種:5月に播種 ニホンタンポポの発芽:5月2週間程度で発芽した。 ニホンタンポポの発芽:発芽から4ヶ月後の9月 ニホンタンポポの芽生え:翌年の4月冬には地上部がほとんど枯れてしまう。 …
ニリンソウ 2021-05-09|最終更新日:2023-02-03 キンポウゲ科イチリンソウ属の多年草 ニリンソウの花:4月 ニリンソウの花:4月 ニリンソウの実:5月 ニリンソウの種:5月に播種 ニリンソウの発芽:翌年の4月
ニワウメ 2021-04-09|最終更新日:2023-07-15 バラ科サクラ属の落葉低木 ニワウメの花:4月 ニワウメの実:7月 ニワウメの種:7月に播種 ニワウメの発芽:翌年の4月 2年目のニワウメ:5月 3年目のニワウメ:5月
ニワゼキショウ 2021-05-09|最終更新日:2023-07-08 アヤメ科ニワゼキショウ属の多年草 ニワゼキショウの花:5月 ニワゼキショウの実:6月 ニワゼキショウの種:6月に播種 ニワゼキショウの発芽:翌月の7月に発芽 ニワゼキショウの開花:翌年の5月 3年目のニワゼキショウ:5月